Connectez-vous/S’inscrire
Votre e-mail a été envoyé.
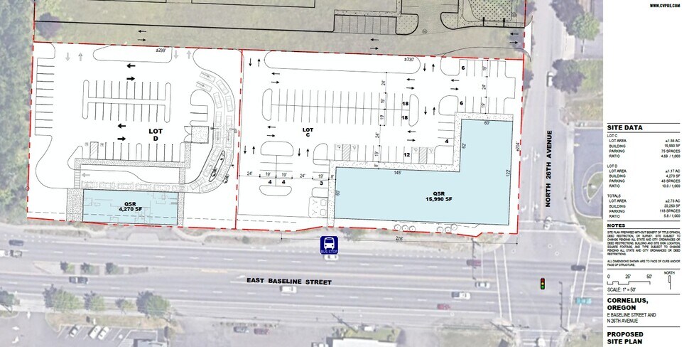
Haney Commercial Pads 139 and 273 N. 26th Avenue Terrain commercial | À louer | 0,53–1,1 ha | Cornelius, OR 97113


Certaines informations ont été traduites automatiquement.
INFORMATIONS PRINCIPALES
- Options de stationnement en voiture. Les commerces de détail, les restaurants ou les établissements médicaux sont autorisés.
- Situé à une intersection éclairée le long de l'autoroute de la vallée de Tualatin (OR 8) avec 33 927 VPD avec entrée et sortie faciles depuis la 26e Avenue N.
LOT DISPONIBLE
Afficher les loyers en
| Loyer |
|
Surface du lot | 0,53 – 1,1 ha |
| Durée du bail | Négociable |
| Loyer | |
| Durée du bail | Négociable |
| Surface du lot | 0,53 – 1,1 ha |
*For Lease Options on Inline Shop Space Available- Site Plan Attached Ground Lease or Build-to-Suit Opportunity Cornelius Commercial Pads Options- Now inline spaces available to Lease! Please call broker for pricing. Please note site plan is flexible. • Zoned: Gateway Mixed-Use (GMU). Allows for QSR drive-thru, restaurant, retail, and medical. • Located at a lighted intersection along Tualatin Valley Highway (OR 8) with 33,927 VPD with easy ingress/egress off N. 26th Avenue. • High traffic retail area with close proximity to Fred Meyers, Act V Theatres, Burger King, Panda Express, and more. Adjacent to future multifamily development.
APERÇU DU BIEN
Les zones commerciales sont ancrées dans des appartements multifamiliaux situés au nord. L'accès se fait par la TV Highway et par l'entrée/sortie directe depuis la 26e Avenue. De plus, une route de façade traversera la propriété et reliera les plates-formes commerciales adjacentes pour une meilleure circulation. La propriété devrait être livrée début 2025. Veuillez appeler le courtier pour plus de détails et les tarifs.
INFORMATIONS SUR L’IMMEUBLE
1 1
Bike Score®
Très praticable en vélo (75)
1 sur 3
VIDÉOS
VISITE EXTÉRIEURE 3D MATTERPORT
VISITE 3D
PHOTOS
STREET VIEW
RUE
CARTE
1 sur 1
Présenté par
Haney Commercial Pads | 139 and 273 N. 26th Avenue
Vous êtes déjà membre ? Connectez-vous
Hum, une erreur s’est produite lors de l’envoi de votre message. Veuillez réessayer.
Merci ! Votre message a été envoyé.
