3031 New Castle Ave | New Castle, DE 19720
Cette fonctionnalité n’est pas disponible pour le moment.
Nous sommes désolés, mais la fonctionnalité à laquelle vous essayez d’accéder n’est pas disponible actuellement. Nous sommes au courant du problème et notre équipe travaille activement pour le résoudre.
Veuillez vérifier de nouveau dans quelques minutes. Veuillez nous excuser pour ce désagrément.
– L’équipe LoopNet
Ce bien Local commercial n’est plus annoncé sur LoopNet.fr.
3031 New Castle Ave
New Castle, DE 19720
Business/Retail/Warehouse Property for Sale · Local commercial Bien À vendre
3031 New Castle Ave, New Castle, DE 19720

INFORMATIONS PRINCIPALES SUR L'INVESTISSEMENT
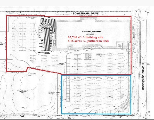
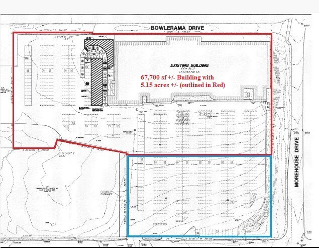
- Prix de vente : 6 000 000$
- 6,99 acres et plus
- Potentiel d'Outparcel Pads
- Bâtiment 67 723 +/- SF (d'après Alta Survey)
- Grand parking
- CR zoné
INFORMATIONS SUR L’IMMEUBLE
Type de bien
Local commercial
Sous-type de bien
- Superette
- Local commercial général, restaurant
- Industriel/logis., entrepôt
- Local commercial général, salle de bowling
Surface de l’immeuble
6 172 m²
Classe d’immeuble
B
Année de construction/rénovation
1959/2017
Occupation
Mono
Hauteur du bâtiment
1 étage
Coefficient d’occupation des sols de l’immeuble
0,22
Surface du lot
2,83 ha
Zonage
CR - Zoned CR
Stationnement
490 places (79,4 places par 1 000 m² loué)
Façade
142 m sur New Castle Ave
CARACTÉRISTIQUES
- Enseigne sur pylône
TAXES FONCIÈRES
| Numéro de parcelle | 10-010.40-029 | Évaluation des aménagements | 825 420 € |
| Évaluation du terrain | 386 831 € | Évaluation totale | 1 212 251 € |
TAXES FONCIÈRES
Numéro de parcelle
10-010.40-029
Évaluation du terrain
386 831 €
Évaluation des aménagements
825 420 €
Évaluation totale
1 212 251 €
ID de l’annonce: 31344122
Date de mise sur le marché: 27/03/2024
Dernière mise à jour:
Adresse: 3031 New Castle Ave, New Castle, DE 19720
Ce Local commercial situé à 3031 New Castle Ave, New Castle, DE 19720 n’est plus annoncé sur LoopNet.fr. Contactez le broker pour obtenir des informations sur la disponibilité.
1 sur 1
VIDÉOS
VISITE EXTÉRIEURE 3D MATTERPORT
VISITE 3D
PHOTOS
STREET VIEW
RUE
CARTE

Lien copié
Votre compte LoopNet a été créé !
Merci de vos commentaires
Veuillez partager vos commentaires
Nous vous invitons à nous faire part de vos commentaires sur la façon dont nous pouvons améliorer LoopNet afin de mieux répondre à vos besoins.X
{{ getErrorText(feedbackForm.starRating, "Ce notation") }}
255 caractères max. ({{ remainingChars() }} caractèrecaractères restantsur)
{{ getErrorText(feedbackForm.msg, "Ce notation") }}
{{ getErrorText(feedbackForm.fname, "Ce prénom") }}
{{ getErrorText(feedbackForm.lname, "Ce nom") }}
{{ getErrorText(feedbackForm.phone, "Ce numéro de téléphone") }}
{{ getErrorText(feedbackForm.phonex, "Cette extension de téléphone") }}
{{ getErrorText(feedbackForm.email, "Cet email") }}
Vous pouvez nous envoyer vos commentaires à tout moment en utilisant le bouton Aide en haut de la page.